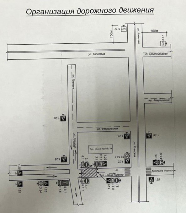
В Симферополе частично перекрыли бульвар Франко
До 4 ноября будет перекрыт участок от автодороги ул. Тренева в районе здания № 34 по бульвар Франко при направлении движения в сторону автодороги ул. Киевская.
Дорогу перекрыли из-за срочных аварийных работ на сетях теплоснабжения, сообщили в пресс-службе администрации Симферополя.
Фото: пресс-служба администрации Симферополя






































