Внимание! Ограничение движения!
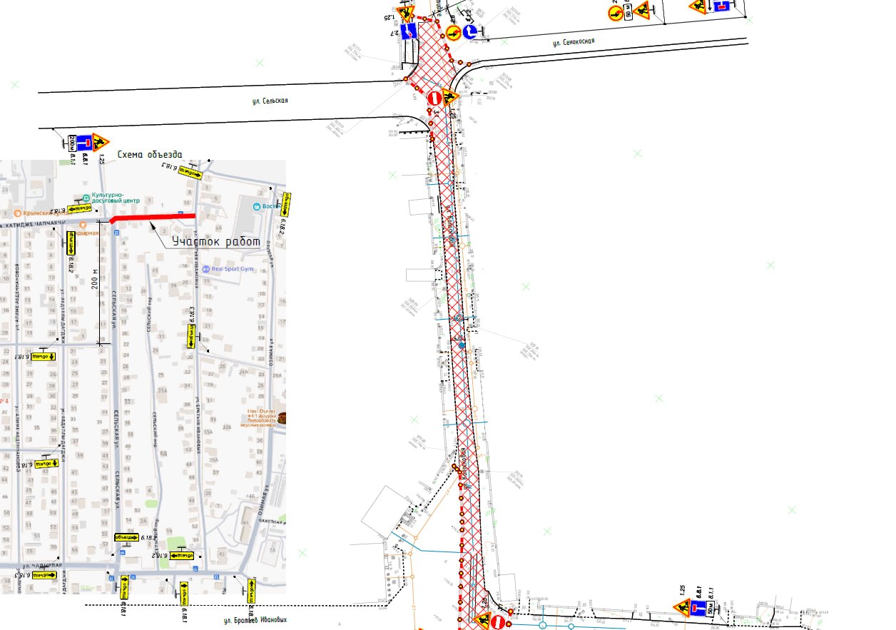
В связи с проведением земляных работ с разрытием дорожного полотна и, соответственно, временным ограничением движения транспорта по улицам Сельская, Хатидже Чапчакчи, Колоскова и Сенокосная, подрядной организацией ГУП РК «Воды Крыма» поэтапно будут выполняться работы на указанном перекрёстке.
Период проведения работ — с 2 по 9 ноября 2025 года.
Уважаемые жители микрорайонов Каменка и Хошкельды, просим учитывать данную информацию при планировании маршрутов и выборе пути следования.


































