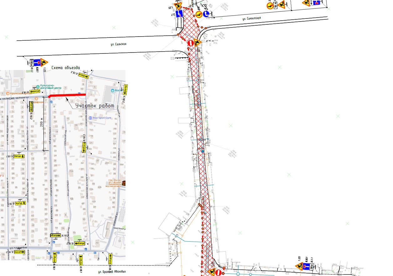
В связи с проведением земляных работ с разрытием дорожного полотна и, соответственно, временным ограничением движения транспорта по улицам Сельская, Хатидже Чапчакчи, Колоскова и Сенокосная, подрядной организацией ГУП РК «Воды Крыма» поэтапно будут выполняться работы на указанном перекперекрёстке, сообщает пресс-служба администрации Симферополя.
Период проведения работ — с 2 по 9 ноября 2025 года.
В администрации просят жителей микрорайонов Каменка и Хошкельды учитывать данную информацию при планировании маршрутов и выборе пути следования.








































