Бульвар Франко в Симферополе частично перекроют на четыре дня.
Ограничение движения вводят с 1 по 4 ноября из-за срочных работ на теплосетях, сообщили в горадминистрации.
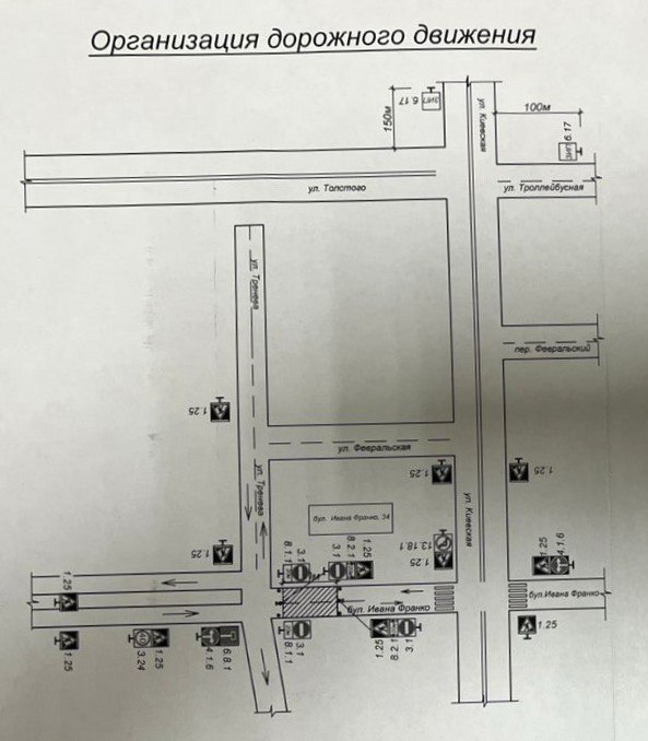
Проехать нельзя будет по участку улично-дорожной сети и по дороге от Тренева (в районе здания №34) в сторону Киевской.
Смотрите карту










































