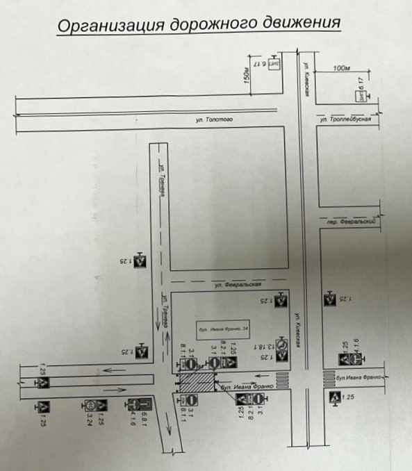
В Симферополе частично перекрыли бульвар Франко
Причина — срочные аварийные работы на сетях теплоснабжения, сообщили в пресс-службе администрации города. Движение автомобилей будет закрыто с 1 по 4 ноября на участке от улицы Тренева до здания № 34 по бульвару Франко в сторону улицы Киевская.
Фото: администрация Симферополя










































